Christmas tree (aviation)


A Christmas tree was a type of alert area constructed by the United States Air Force (USAF) for the Strategic Air Command (SAC) during the Cold War. Oftentimes, bombers or tanker aircraft were stationed next to a readiness crew building (RCB), also known as 'mole hole' facilities. The alert apron, also known as an alert ramp, received the name 'Christmas tree', because in plan-form it resembled a tree of the same name.[1][2]
History
Before the development of the Boeing B-52 Stratofortress, aircraft such as the Convair B-36 Peacemaker, Boeing B-50 Superfortress and Boeing B-47 Stratojet were parked on alert aprons at right angles. Due to the sheer size of the aircraft, this created a problem in launching aircraft efficiently and rapidly in the event of an emergency scramble, requiring a different solution to be devised. To fix this, aircraft were repositioned on specifically designed alert aprons arranged in herringbone configurations, which then allowed the airplanes to pull out onto the runway as quickly as possible.[1]
This meant that the aircraft would be positioned at 45 degrees in relation to an alert apron center-line, leading to a short taxiway and then onto the nearest runway(s). Two aircraft would be positioned on either side of the center-line, typically four deep on either side, sometimes with one additional aircraft being positioned directly aligned on the center-line farthest back.[3] The success of this formation also led to the adoption of the setup for the Boeing KC-97 Stratofreighter and KB-50 Superfortress aerial refueling aircraft.[1] As newer bomber and aircraft eventually entered the SAC inventory, the 'Christmas tree' aprons would be used by the B-47 Stratojet, B-52 Stratofortress, Convair B-58 Hustler, General Dynamics FB-111, Rockwell B-1 Lancer, Boeing KC-135 Stratotanker, and McDonnell Douglas KC-10 Extender aircraft.
During an alert, flight crews and ground crews would run out of the alert facility, i.e. the 'mole hole', either to their awaiting airplanes, or to alert vehicles that they would drive to said aircraft. This latter option was particularly critical for crews of the last three aircraft on the ramp that were located several hundred yards from the alert facility.[4][5]
During an alert sortie, there was no specific departure order; the first plane ready to taxi was the first to leave. At this point, the aircraft would perform an 'elephant walk' to the duty runway, which was typically located close to the Christmas tree, due to the need to launch the aircraft as quickly as possible in response to a probable inbound enemy attack. If the aircraft were to be launched as quickly as possible, then a Minimum Interval Takeoff (MITO) would be performed, in order to lessen the chance that the aircraft would be caught on the ground in the event of a nuclear strike.[3]
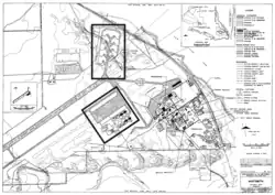
Although it is unknown how much each 'Christmas tree' cost to construct and maintain, the Christmas tree at the former Loring Air Force Base, Maine is estimated to have cost $400,000 (equivalent to $4.25 million in today's dollars) [6] when it was constructed between 1959 and 1960.[7]

Although Strategic Air Command was disestablished in 1992, 'Christmas tree' aprons and their associated 'mole holes' continue to exist on numerous Air Force Global Strike Command, Air Combat Command, Air Mobility Command, Air Education and Training Command, Air Force Reserve Command, and Air National Guard bases, as well as two active Army Air Fields, and several civilian and joint civil-military airports that were previously SAC installations for all or part of the 1950s through the 1990s.
References
- ^ a b c "The Mole hole, Building 1303". Air Mobility Command Museum. Retrieved 9 August 2012.
- ^ Day, John S. (November 18, 1995). "Memories of a Cold War Christmas Eve nightmare". Bangor Daily News. p. A2 – via Google News.
- ^ a b "SAC Alerts". Westoveryesterday.com. Archived from the original on 19 June 2012. Retrieved 9 August 2012.
- ^ Crawford, Thomas A. (November 29, 1962). "First defense line unit has 'Golden Hour Tango'". Wilmington (NC) News. UPI. p. 3 – via Google News.
- ^ Day, John S. (April 1, 1964). "Monthly alerts keep Dow bomber crews in readiness for attack". Lewiston (ME) Daily Sun. (Bangor Daily News). p. 6 – via Google News.
- ^ 1634–1699: McCusker, J. J. (1997). How Much Is That in Real Money? A Historical Price Index for Use as a Deflator of Money Values in the Economy of the United States: Addenda et Corrigenda (PDF). American Antiquarian Society. 1700–1799: McCusker, J. J. (1992). How Much Is That in Real Money? A Historical Price Index for Use as a Deflator of Money Values in the Economy of the United States (PDF). American Antiquarian Society. 1800–present: Federal Reserve Bank of Minneapolis. "Consumer Price Index (estimate) 1800–". Retrieved February 29, 2024.
- ^ "Written Historical and Descriptive Data Photographs" (PDF). Historic American Engineering Record. Archived from the original (PDF) on 25 August 2012. Retrieved 9 August 2012.
