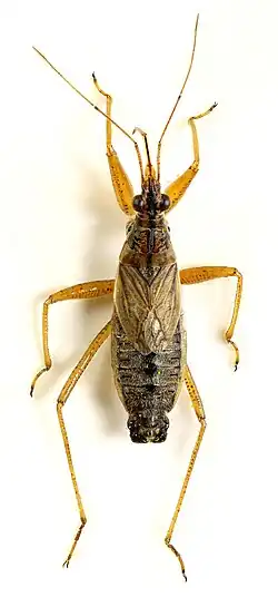
Nabis flavomarginatus

Nabis flavomarginatus
Scientific classification Edit this classification
Kingdom: Animalia
Phylum: Arthropoda
Class: Insecta
Order: Hemiptera
Suborder: Heteroptera
Family: Nabidae
Genus: Nabis
Species:
N. flavomarginatus
Binomial name
Nabis flavomarginatus
Scholz, 1847

Nabis flavomarginatus is a species of damsel bug in the family Nabidae.[1]

Distribution

This species has a Holarctic distribution. In Europe it is found in the North and East but it is largely missing in the South West and South. In the East the distribution extends over the Palearctic to Siberia and Central Asia and the North of China, Japan and Korea. In the Nearctic realm, it is common in Alaska, Canada and Greenland. In 1989 it was found for the first time in the continental body of the United States (Maine). In Greenland, it is the only species in the family Nabidae conspicuously on the former settlement area of the Vikings (their introduction through this in the early Middle Ages is speculated about).

In Western and Central Europe N. flavomaculatus is boreomontane. It rises in the Alps to 2200 meters above sea level.[2][3]

Habitat

N. flavomaculatus is found in wet, open habitats with a high proportion of grasses (Poaceae), sedges (Cyperaceae) and rushes (Juncaceae). The species prefers micro-climatic lower temperatures than most other species of the subfamily Nabinae. It is rare in half-shady places.

Nabis flavomarginatus lives mainly in the herbaceous layer and has a non-specific prey spectrum. Cicadas are however frequent prey according to their habitat. Overwintering occurs as the egg. The nymphs occur from May the adults (depending on the altitude) from June/July to October, until July. Late in the year, only females are observed.[4]

References

  1. ^ "Nabis flavomarginatus". ZipCode Zoo.
  2. ^ Fauna Europaea as Nabis (Dolichonabis) limbatus Dahlbom, 1851
  3. ^ Kerzhner, I.M. 1996. Family Joppeicidae: 2; Family Nabidae: 84-107; Family Polyctenidae: 145-147.In: Aukema, B. & Rieger, Ch. (Eds.) Catalogue of the Heteroptera of the Palaearctic Region, 2. Amsterdam : The Netherlands Entomological Society(Nederlandse Entomologische Vereniging) 1995-2006 ISBN 9071912280
  4. ^ Ekkehard Wachmann, Albert Melber, Jürgen Deckert: Wanzen. Band 1: Cimicomorpha: Dipsocoromorpha, Nepomorpha, Gerromorpha, Leptopodomorpha, Cimicomorpha (Teil 1) (= Die Tierwelt Deutschlands und der angrenzenden Meeresteile nach ihren Merkmalen und nach ihrer Lebensweise. 77. Teil). Goecke & Evers, Keltern 2006, ISBN 3-931374-49-1, S. 175ff.