Orthotylus ericetorum

Orthotylus ericetorum
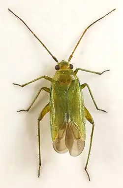
Orthotylus ericetorum, Trawscoed, North Wales
Scientific classification Edit this classification
Kingdom: Animalia
Phylum: Arthropoda
Class: Insecta
Order: Hemiptera
Suborder: Heteroptera
Family: Miridae
Genus: Orthotylus
Species:
O. ericetorum
Binomial name
Orthotylus ericetorum
(Fallen, 1807)

Orthotylus ericetorum is a Palearctic species of true bug.[1][2]

References

  1. ^ Mamaev B.M. , Medvedev L.N. , Pravdin F.N. Keys to insects of the European part of the USSR. - M .: Education, 1976 .-- P. 87 .-- 304 p.
  2. ^ Ekkehard Wachmann, Albert Melber, Jürgen Deckert: .Wanzen. Band 2: Cimicomorpha: Microphysidae (Flechtenwanzen), Miridae (Weichwanzen) (= Die Tierwelt Deutschlands und der angrenzenden Meeresteile nach ihren Merkmalen und nach ihrer Lebensweise. 75. Teil). Goecke & Evers, Keltern 2006, ISBN 3-931374-57-2.