Typhoon Rai
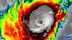
![]() Rai at its initial peak intensity while approaching the Philippines on December 16 | |
| Meteorological history | |
|---|---|
| Formed | December 11, 2021 |
| Dissipated | December 21, 2021 |
| Violent typhoon | |
| 10-minute sustained (JMA) | |
| Highest winds | 195 km/h (120 mph) |
| Lowest pressure | 915 hPa (mbar); 27.02 inHg |
| Category 5-equivalent super typhoon | |
| 1-minute sustained (SSHWS/JTWC) | |
| Highest winds | 280 km/h (175 mph) |
| Lowest pressure | 908 hPa (mbar); 26.81 inHg |
| Overall effects | |
| Fatalities | 410 total |
| Missing | 80 |
| Damage | $968 million (2021 USD) (Second-costliest in Philippine history) |
| Areas affected |
|
| IBTrACS | |
Part of the 2021 Pacific typhoon season | |
Typhoon Rai, known in the Philippines as Super Typhoon Odette,[1] was a deadly and extremely destructive super typhoon, which was the second costliest typhoon in Philippine history behind Typhoon Haiyan in 2013. Rai was a powerful rare tropical cyclone that struck the Philippines in mid-December 2021. Rai became the first Category 5-equivalent super typhoon to develop in the month of December since Nock-ten in 2016, and the third of four Category 5 super typhoons recorded in the South China Sea, along with Pamela in 1954, Rammasun in 2014 and Yagi in 2024.
Rai, named after an artifact called Rai stones, is the 22nd and final named tropical storm, the ninth typhoon, and the fifth super typhoon of the 2021 Pacific typhoon season. The system originated from a tropical disturbance near the equator on December 10, forming near the site of another low-pressure area that had dissipated on the previous day. Conditions around the system were favorable for further development, and it slowly developed into a tropical depression on December 12. On the same day, the United States Joint Typhoon Warning Center (JTWC) issued a Tropical Cyclone Formation Alert (TCFA) on the consolidating depression. Further intensification ensued, and Rai was upgraded to a tropical storm the next day, before passing south of Ngulu Atoll. After passing near Palau and impacting the island nation, Rai entered the Philippine Area of Responsibility (PAR) by the night of December 14, where the Philippine Atmospheric, Geophysical and Astronomical Services Administration (PAGASA) named it "Odette". On the next day, both the JMA and JTWC raised the system's intensity to a low-end Category 1-equivalent typhoon, as an eye continued to appear. While approaching the Philippines, Rai rapidly intensified into a Category 5 super typhoon[nb 2] just before its first landfall across Siargao. It then slowly but steadily weakened as it traversed the Visayas, exiting into the Sulu Sea. After making its last landfall over Palawan, Rai continued to weaken before unexpectedly re-intensifying into a Category 5-equivalent typhoon by December 18, while nearing Vietnam. On the next day, Rai entered yet another weakening phase, dissipating on December 21, southeast of Hong Kong.
As Rai pounded the Philippines, heavy rainfall and strong and gusty winds impacted several areas around the storm's path. Many areas across the Visayas and Mindanao lost electricity with several provinces and areas being deprived further of communication services. Downed trees obstructed many roadways, and flooding was a major problem across the affected regions, particularly Bohol, where the storm was described as "one of the worst for the province". Rivers also overflowed across Cagayan de Oro, while numerous buildings sustained damage. Surigao City was reported to be completely damaged, and appealed for aid. Bohol also pleaded for help from the government due to the damages Rai brought to the area. A state of calamity has been placed in the province and Cebu. So far, 410 people have died, a large portion of which were from the severely affected island of Bohol. Damages was finalized at ₱47.6 billion (US$951 million), including ₱29.8 billion (US$596 million) of infrastructural damage.
Meteorological history

Tropical storm (39–73 mph, 63–118 km/h)
Category 1 (74–95 mph, 119–153 km/h)
Category 2 (96–110 mph, 154–177 km/h)
Category 3 (111–129 mph, 178–208 km/h)
Category 4 (130–156 mph, 209–251 km/h)
Category 5 (≥157 mph, ≥252 km/h)
Unknown
At 06:00 UTC on December 9, the Joint Typhoon Warning Center (JTWC) started to monitor a low-latitude area of convection in the Pacific Ocean at 4°36′N 142°24′E / 4.6°N 142.4°E, located about 350 nautical miles (650 km; 400 mi) to Palau's east-southeast. A broad circulation was identified by the agency, with flaring convection over it. The circulation had a marginal environment with low to moderate wind shear, fair outflow, and warm sea surface temperatures.[4] Despite its given environment, however, the disturbance failed to intensify and dissipated by 06:00 UTC the next day. Another new area of low pressure formed on December 10, near the location of the previous disturbance. Analysis on the system revealed a degraded and disorganized low-level circulation center.[5][6] Position fixes by 02:30 UTC on December 11 determined that its center had shifted to the north over a developing surface trough, while convective bursts occurred around the system.[7] An advanced scatterometer pass featured below gale-force winds on its northwest quadrant.[8]
The Japan Meteorological Agency (JMA) (the official Regional Specialized Meteorological Center for the western Pacific Ocean[9]) first upgraded the system to a tropical depression with winds of 55 km/h (35 mph),[nb 3] at 00:00 UTC the next day, followed by the JTWC upgrading the storm's chances of developing to "high" and subsequently issuing a Tropical Cyclone Formation Alert.[11][12][13] By 03:00 UTC on December 13, the JTWC upgraded the system to a weak tropical depression, highly based on Dvorak ratings of T1.5.[14] Nine hours later, the JMA classified the system as a tropical storm based on Dvorak ratings and named the storm Rai.[15] It was not until 15:00 UTC that day when the JTWC upgraded Rai to a tropical storm, as it began tracking northwestward.[16] Three hours later, Rai began to pass south of Ngulu State, while continuing to intensify and organize.[17][18] By December 14 in the early morning, the system was upgraded to a severe tropical storm by the JMA.[19] By 09:00 UTC, the JTWC noted that the system's cloud tops became warm; however, it further organized while tracking towards the small island country of Palau.[20] The storm entered the Philippine Area of Responsibility around 11:00 UTC (19:00 PHT), and was named Odette by the PAGASA.[21][22] Four hours later, Rai began to exhibit an eye which was first seen on microwave images.[23] The JMA further upgraded the system to a typhoon by the next day, followed by the JTWC three hours later as Rai began to take a westward motion under the influence of a subtropical ridge to its north.[24][25] Steady intensification occurred on Rai while moving near the country, reaching high-end Category 1-equivalent typhoon intensity by 15:00 UTC. At this time, the JTWC only forecasted a landfall equivalent to a Category 2 storm.[26][27]
.jpg)
Rai unexpectedly underwent rapid intensification on December 15, from 120 to 280 km/h (75 to 175 mph) by December 16, while nearing landfall. At this time, a small 6 nautical miles (11 km; 6.9 mi) eye was seen along with strong convection. The storm began an eyewall replacement cycle (ERC) shortly after reaching peak intensity.[28] On December 16, the typhoon made landfall over Siargao Island in the province of Surigao del Norte around 1:30 PM local time (05:30 UTC)[29] and a second landfall over Dinagat Islands around 3:10 PM local time (07:10 UTC).[30] A third landfall occurred in Liloan, Southern Leyte at 3:40 PM local time (7:40 UTC). A fourth landfall occurred at Panaon Island, also at Liloan, at around 4:50 PM (8:50 UTC).[31] Padre Burgos, Southern Leyte was the fifth at 5:40 PM (09:40 UTC), followed nearly one-hour later at President Carlos P. Garcia, Bohol and approximately another hour at Bien Unido, still at Bohol. The eighth landfall occurred at Carcar, Cebu by 10:00 PM (14:00 UTC) and the ninth over La Libertad, Negros Oriental, two hours later.[32] The JMA estimated a minimum central pressure of 915 millibars (27.0 inHg) by 03:00 UTC, earlier that day, two hours before its landfall. The same situation slightly weakened the system into a Category 4-equivalent super typhoon by 09:00 UTC, and its intensity continued to degrade, six hours later while crossing Visayas.[33][34][35] As Rai entered Panay Gulf, its eye further weakened and its convective signature becoming disorganized as the JTWC further downgraded it to a Category 3 system six hours later. It continued to weaken while tracking towards the Sulu Sea by the next day at 03:00 UTC.[36][37] A new eye also struggled to form as the system was nearing landfall.[38] By 07:10 UTC (15:10 PHT), the system made another and last landfall over Roxas, Palawan as it continued to lose intensity.[39] It then entered the South China Sea with more organization but its intensity remaining the same.[40] Rai then started to slightly strengthen as it turned northwestward, away from the Philippine archipelago.[41][42] The system then left the PAR by 12:40 PHT (04:40 UTC).[43] For the first time since Typhoon Rammasun in 2014 and the third after Pamela of 1954 and the aforementioned storm, Rai unexpectedly attained Category 5-equivalent super typhoon status in the South China Sea, due to the favorable environment in that region, at 21:00 UTC on December 18, as it underwent a secondary period of rapid intensification, attaining maximum speeds of 270 km/h (165 mph).[44]

By 03:00 UTC the next day, Rai again weakened below Category 5-equivalent super typhoon intensity, while turning in a west-northwesterly direction. Its eye was cloud-filled by this time, with the storm rapidly weakening afterward.[45] The storm was still rapidly weakening as of 12:00 UTC on December 20, being forecasted to dissipate off the coast of Guangdong, China.[46] As forecasted, Rai dissipated a day later off the coast of Guangdong Province, China.
On March 23, 2022, as PAGASA issued their revised tropical cyclone scale, Rai (Odette) was considered as a super typhoon.[1]
Preparations
Federated States of Micronesia
Upon the system's intensification into a tropical depression, a typhoon watch was issued by the US National Weather Service in Tiyan, Guam, in Koror and Kayangel while a tropical storm warning was placed for Ngulu Atoll. The island of Yap was placed also under tropical storm watch.[47] This was further upgraded into a typhoon warning for Palau as Rai further intensifies.[48] The alerts for Ngulu and Yap were first canceled by 09:00 UTC of December 14 and six hours later, the typhoon warning were also canceled for Palau.[49][50]
Philippines

PAGASA began issuing Tropical Cyclone Advisories as early as December 12 given the forecasted track of the storm. In its first advisory, PAGASA forecasted the possibility of Signal #4 being raised over the Visayas and Mindanao regions, later lowered to Signal #3.[51][52] The PAGASA also forecasted winds of up to 155 km/h (96 mph) prior to landfall.[53] On December 14, storm signals were raised in Caraga and Eastern Visayas as the storm entered the Philippine Area of Responsibility.[54] Starting on the night of December 13, land travel on bound to Visayas, Mindanao, the province of Masbate and Catanduanes were canceled according to an approved request of the Office of the Civil Defense in the country. The Land Transportation Office also placed the same travel restrictions in Mindanao and Luzon as a precaution. All types of vessels are also prohibited to leave the country's ports if there are any storm signals raised. Fishermen living near coastal areas were also urged by the country's coast guard to leave their homes "as soon as possible". Other Philippine provinces like Bohol and Aklan were also prepared for possible work cancelations and evacuation premises in regards to the storm. Floating cottages in General Santos, as well as fishing boats were brought to shore and safety. The vaccination operations across the possible affected areas were earlier suspended by December 20–22.[55][56] Over 23,642 food packs for evacuees were also readied by the country's Department of Social Welfare and Development (DSWD), over 18,665 non-edible items as well as over ₱752,250 (US$15,040) worth of standby funds.[57] The airline carrier Cebu Pacific also suspended three flights in the country.[58]
Over 12,000 individuals in barangays across Mindanao, Visayas, and further north into Southern Luzon were also urged by the National Disaster Risk Reduction and Management Council (NDRRMC) to immediately leave their homes. The whole of Bicol Region was also under red alert starting on December 14. The higher authorities there also warned its people of possible landslides and lahar flow from the Mayon Volcano. Cebu was also under a "state of preparedness" due to the storm. Furthermore, many individuals, of which the majority are going into the Bicol Region in the Parañaque Integrated Terminal Exchange (PITX) were also stranded due to ferry suspensions. Capiz already started voluntary evacuations at this time, first focused on people living in coastal areas.[59] Liloan, Cebu also initiated forced evacuations by the afternoon of December 15. Several flights into Visayas and Mindanao from Ninoy Aquino International Airport were also delayed, rescheduled, and/or canceled, mainly from the earlier Cebu Pacific, Philippine Airlines and Airasia. Some face-to-face classes in the affected areas were also halted. Many billboards in Bohol were also removed and the annual Binirayan festival in Antique was canceled due to Rai.[60] The city of Surigao was already soaked by the rains of Odette by the afternoon of December 15, including the whole of Eastern Visayas. Thousands of evacuees rushed into safety shelters in the area whereas in one case, they became full. Sandbags were also placed over some houses in Tacloban City in Leyte and many individuals rushed into a grocery store in Alangalang to stock up on essential supplies.[61]
Four hours after, Rai entered the PAR, PAGASA started to hoist Tropical Cyclone Warning Signal #1 for southeastern Eastern Samar and over the Surigao provinces, including the Dinagat Islands.[62][63] This was further extended into some provinces in the Central Visayas and further south of Mindanao, until Agusan del Sur.[64] Signal #2 were further placed for the Surigao provinces and further into some parts of Visayas as Odette further intensified into a typhoon, with Signal #1 spreading further into the remaining part of the region and Mimaropa and Southern Tagalog provinces.[65][66] The storm's further intensification led to PAGASA raising the Signal #3 warning in some portions of Caraga and as Rai underwent rapid intensification, into eastern Visayas before Signal #4 was raised in those areas.[67][68]
On December 15, militants of the New People's Army attacked troops evacuating residents in Surigao del Sur prior to the storm, killing three civilians.[69] On December 16, the PAGASA raised the signal in western Bohol, Dinagat Islands, and Surigao to Signal #4. 9,720 thousand were evacuated as Typhoon Rai made landfall.[70] Following Rai's impact, around 332,000 people have been evacuated from their homes in total as of December 17.[71]
Highest Tropical Cyclone Wind Signal
Vietnam
As Rai approached Vietnam after clearing the Philippines, officials held a meeting in which more than 243,254 houses across eight Vietnamese provinces were identified as "unsafe", while rice crops were harvested by farmers in preparation for the storm.[72][73] Vietnam Airlines' flight operations were also halted due to the typhoon, while marine equipment, particularly fishing boats, were moved onto shores as a precautionary measure.[74][75] Lý Sơn Island also prepared to evacuate over 7,800 individuals. Towing vessels were also readied in case of marine emergencies over the South China Sea. Medicine and food packs were also prepared while houses over the areas that are foreseen to be affected by Rai were secured.[76] 305,000 individuals were also readied to be evacuated from Quảng Bình to Bình Thuận. Heavy rainfall, strong winds and rough waves were also forecasted.[77]
Macau and Hong Kong
In Macau, the Macao Meteorological and Geophysical Bureau (SMG) hoisted the typhoon warning signal number one in the early hours at 3AM on 20 December 2021 (MST).[78] In Hong Kong, the Hong Kong Observatory issued the number 1 tropical cyclone signal at 11:20AM (HKT) on 20 December 2021, as Typhoon Rai approached the territory. Rai is the first typhoon on record to neccistate the issuance of typhoon warning signal in the territory in mid-December, on 20 December 2021, and the second on record in December. The last time such a signal warning was issued in Hong Kong in December was in 1974 as a response to Typhoon Irma.[79][80][81][82][83][84] and was cancelled at 12:20PM HKT the following day.
Elsewhere
In China, Blue Typhoon warnings were issued in Hainan and Guangdong Provinces by the China Meteorological Administration.[85]
Impact
Philippines
%252C_in_december_16.png)
| Rank | Storm | Season | Damage | Ref. | |
|---|---|---|---|---|---|
| PHP | USD | ||||
| 1 | Yolanda (Haiyan) | 2013 | ₱95.5 billion | $2.2 billion | [86] |
| 2 | 2021 | ₱47.6 billion | $951 million | [87] | |
| 3 | Pablo (Bopha) | 2012 | ₱43.2 billion | $1.06 billion | [88] |
| 4 | Glenda (Rammasun) | 2014 | ₱38.6 billion | $771 million | [89] |
| 5 | Ompong (Mangkhut) | 2018 | ₱33.9 billion | $627 million | [90] |
| 6 | Pepeng (Parma) | 2009 | ₱27.3 billion | $581 million | [91] |
| 7 | Ulysses (Vamco) | 2020 | ₱20.2 billion | $417 million | [92] |
| 8 | Crising (Wipha) | 2025 | ₱19.7 billion | $399 million | [93] |
| 9 | Kristine (Trami) | 2024 | ₱18.4 billion | $373 million | [94] |
| 10 | Rolly (Goni) | 2020 | ₱17.9 billion | $369 million | [95] |
Rai caused severe and widespread damage throughout the Southern Philippines, killing at least 409.[96][97][98][99][100][101][102] The NDRRMC confirmed the damage in infrastructure to be ₱29.8 billion (US$596 million), along with ₱17.7 billion (US$354 million) of agricultural damage and ₱62.7 million (US$1.25 million) worth of damages to houses, with a combined total of ₱47.6 billion (US$951 million).[87]
Over 100,000 people were moved to higher ground as flooding occurred.[103] Strong winds and heavy rainfall also impacted Guiuan, Eastern Samar, with rough waves bashing the shores of the province, according to a news correspondent of 24 Oras.[104] The same situation was also felt across the entirety of Western Visayas.[105] As Rai impacted Liloan in Southern Leyte, an area there was described as "cut-off", indicating that there was no electricity or means of communications in the place. A GMA News reporter recalling his experience inside the storm reported that the building where his team was sustained considerable damage, comparing it to Typhoon Haiyan in terms of ferocity. Their vehicles also received damage from the storm. After the storm passed over the area, the whole municipality was reported to be isolated.[106][107] Many provinces in Mindanao also were severely affected by the typhoon. In Cagayan de Oro, despite rushing water, rescue teams continued to save many people in their houses from the floods. A house was heavily destroyed by Odette's strong winds in Agusan del Norte while a barge of unknown origins was left stranded by the storm's waves on a shore, still in the province.[108] Storm surge also impacted the coast boulevards of Surigao del Norte while Iligan's Mandulog River overflowed. The incident was a horror to many residents there, due to the same effect Tropical Storm Washi in 2011 brought. Further south, it also caused rough waves over Cateel.[109] The Cagayan de Oro River also overflowed, causing several homes to be near-completely inundated.[110] The first fatality from the storm was reported at Iloilo, where a woman was crushed to death in her house by a bamboo tree.[111]

The first responders themselves are victims. So this is Typhoon Haiyan [Yolanda] again.[nb 4]
Surigao City was deprived of electricity and communications due to downed power lines while scores of trees left many roads impassable. Many buildings in the area were also devastated and the overall impact of Rai in the area were described as "widespread". Clean water supply became a problem in the city while almost all coastal houses were destroyed by the typhoon's storm surge. The main wet market of the area was also closed, still due to the effects of the system.[113][114] Authorities are verifying a possible second death due to Rai in the city and a third elsewhere in southern Mindanao. The mayor of Surigao City, Ernesto Matugas also estimated that 100% of the area was devastated due to Odette, also appealing for aid to the government.[115] Aid was also requested by the province of Bohol, where a chief of the area's Provincial Disaster Risk Reduction and Management Office (PDRRMO) described Rai as "one of the worst ever for the province". Many areas in the island were severely inundated, including Loboc, among the worst hit. The whole province also lost power services.[116] The governor of the province, Arthur Yap estimated the damages at ₱5 billion ($100 million).[117] A terminal in Siargao Airport was also totally destroyed; the overall island was also wrecked according to the first district representative of Surigao del Norte, Francisco Jose Matugas II.[118] Southern Surigao confirmed a death, while two people died in Bukidnon.[119] Three individuals were killed due to various reasons across Negros Occidental. Numerous houses there were also destroyed by downed trees, with a triage of the Ignacio Locsin Arroyo Memorial District Hospital being wrecked. Some areas in Kabankalan were also inundated due to a river overflowing there.[120] The Philippine National Police (PNP) also listed two people to be unaccounted for from Western Visayas.[121]
| Provinces | Deaths | Ref. | |||
|---|---|---|---|---|---|
| Bohol | 111 | [96] | |||
| Cebu | 96 | [97] | |||
| Negros Oriental | 74 | [98] | |||
| Negros Occidental | 45 | [99] | |||
| Southern Leyte | 28 | [100] | |||
| Palawan | 22 | [101] | |||
| Surigao del Norte | 18 | [102] | |||
| Dinagat Islands | 14 | [122] | |||
| Leyte | 1 | [100] | |||
| Total | 409 | ||||
Further assessments of the NDRRMC reported at least 12 killed due to the typhoon across the affected areas, while seven people were missing. A briefing with the Philippine President Rodrigo Duterte occurred on the night of December 17, where the agency noted that many provinces were also pleading for help, especially Cebu.[123] The governor of Surigao also observed that over 99 percent of individuals of Surigao were affected. Aerial operations were also conducted by the Philippine Coast Guard, where they saw the total devastation of the island. The area were also reported to have been isolated from any means of transportations except for air. The government there also estimated damages to be ₱20 billion ($400 million).[124] The Dinagat Islands were also wrecked due to Rai, with their governor Arlene Bag-ao also requesting aid from the government, and saying the islands was "levelled to the ground". 95 percent of houses were estimated to have lost their roofs, and emergency shelters were destroyed.[125][126][127] Almost all of Visayas have been left without electricity, according to the Department of Energy (DOE).[128] In Negros Occidental, the agricultural damage is estimated at ₱4.45 billion ($89 million), and it rose up to ₱5.41 billion ($108 million) from the Department of Agriculture and Department of Public Works and Highways.[129][130]
At least 332,000 people were evacuated from their homes. The storm affected areas that were still rebuilding from storms late last year.[131] At least 140,000 people were severely affected, with the United Nations estimating 13 million were affected in some way.[132][133] Military-released aerial photos showed General Luna was destroyed by the typhoon.[134] As the ravaged areas were examined, the death toll rose to 75, the majority of which were from Bohol. 12 were further reported by December 19, making the casualty toll at 87 as of that day.[135][136] A landslide also caused the deaths of five people and left six missing, out of 11, further raising the toll to 92.[137] The Associated Press, however indicated that over 112 were killed during the storm.[138] 78 marine vessels in Cebu also experienced sea mishaps, according to the PCG, while over 4,000 houses in Southern Leyte were destroyed due to the storm-induced storm surge.[139][140] In northern Palawan, where Rai made its last landfall before clearing the country, many houses were downed and trees obstructed several roadways. Many locations in the province, including the major city Puerto Princesa were left without electricity, water supply and communication signals.[141] 630,000 people were displaced, 438,000 were in 2,841 evacuation centers.[142] At least 41 areas were flooded, 227 municipalities experienced power outages, and 135 saw telecommunication issues. Three days after the storm, 9% were estimated to have their outages fixed, and 70% communication restored.[143] 139,000 houses were damaged, with 54,000 being totally damaged and 82,000 partially.[144]
On Pag-asa Island of the Spratly Islands, some residential houses, schools, and government facilities including the new coast guard station were severely damaged by the typhoon.[145][146]

Vietnam
Rai wreaked havoc across Vietnamese-held isles in the Spratly Islands. An observation tower in Southwest Cay recorded sustained winds up to 164 km/h (102 mph) and a gust of 204 km/h (127 mph) during the afternoon of December 18 before being knocked down. The storm destroyed 500 square meters (5,400 sq ft) of civilian house tiles, 27 solar batteries, 400 square meters (4,300 sq ft) of farmland, and knocked down 90% of the trees on the island; no casualties were reported there.[147][148][149] Rai began to batter the Central Vietnamese coast at night, with winds in several provinces averaging 65–90 km/h (40–56 mph). Heavy rainfall was unleashed on Thừa Thiên – Huế to Khánh Hòa, with reports showing an average of 100–200 mm (3.9–7.9 in) of rainfall; some places recorded up to 300 mm (12 in) of rain.[150] In Nghệ An province, two crew members of a fishing vessel were reported missing in the waters off Bạch Long Vĩ Island.[77]
On December 19, one person (fisherman) was reported dead in Tuy Phong, five ships were capsized and three others were damaged off the coast of Bình Thuận.[151] Rough storm waves damaged and destroyed 90 lobster herds on Bình Hưng Island, Cam Ranh, where losses was estimated to be more than 384 billion đồng (US$16.7 million).[152][153]
Aftermath
.jpg)

Philippines
Social media coverage of the typhoon was much less than expected the day after Rai.[133] Possible effects from the newly emerged COVID-19 Omicron variant were feared to be worsened by the typhoon's effects.[154] The DSWD further elaborated that over ₱900 million (US$18 million) worth of standby funds were already prepared for the people affected by Odette.[155] Food and water was sparse for those impacted by the storm.[156] The storage of COVID-19 vaccines and vaccine kits were also feared to be disrupted due to power outages.[128] While there were reports of vaccine wastage due to the typhoon, the Department of Health assured that the impact of the typhoon was minimal.[157] Immediately after the storm, presidential aspirants for the 2022 elections set up relief and recovery operations for the victims of the storm, particularly in Samar and Leyte provinces.[158][159] Major telecommunication networks in the country reported communication disruptions in Visayas and Mindanao but assured that their respective teams are trying to restore services.[160][161] Other local government units sent aid to the areas severely affected by the typhoon.[162][163][164]
On December 17, the provinces of Cebu and Bohol were placed into a state of calamity due to widespread damages.[165][166] Philippine president Rodrigo Duterte announced that he will tour Leyte, Surigao, Bohol and Cebu to check the situation there.[124][167] Recovery funds up to ₱2 billion (US$40 million) were promised by the national government for the affected areas of the storm. Duterte started to tour Surigao City, Siargao, Maasin, and Dinagat Islands on December 18.[168][169] Aid teams were not able to enter into certain affected areas due to waterlogging, debris, and other obstacles.[170] Thousands of emergency personnel were deployed.[171] 2 people died of dehydration after Rai passed.[172] Catholic Bishops in the country declared Christmas Day and December 26 as national days of prayer and mourning for Rai's victims.[173] The government's promise for 35,000 food packs took longer than expected to arrive, and was found to not be enough for people affected. Days later in Bohol, power outages still ranged in the millions. The provinces governor, Arthur Yap, feared the situation could worsen due to a lack of a contingency fund, with supplies of necessities running dry. Looting as a potential problem also rose among affected populations.[174]
Lack of media coverage capacity
News coverage regarding the impacts of Rai was limited in the days after the typhoon struck, a fact partly attributed to the shutdown of the regional news stations of media network ABS-CBN,[175][176] which had earlier been denied a renewal of its congressional franchise.[177][178] With internet service knocked out and mobile phone networks brought down in the wake of the typhoon,[179] news from the typhoon-hit areas was very limited in the critical first days after the disaster.[133]
International response
After Rai hit the Philippines, the governments of Canada, China, the United Kingdom, European Union, South Korea, Singapore, Japan and the United Nations had so far announced their intention to assist the country.[180]
United States: Provided 20,000 food rations to affected areas, 19 trucks for relief operations, and logistics assistance.[181]
China: Sent 20,000 food packs worth ₱8 million (US$162,436.55) and 4.725 million kilograms of rice to typhoon-stricken areas in the country.[182]
European Union: Provided an initial €1.7 million (₱95 million) for the victims of Typhoon Rai.[183]
South Korea: Provided US$2 million in immediate funds to support people affected.[184]
Singapore: Provided US$50,000 via the Singapore Red Cross Society, with the Singaporean government contributing another US$60,000 (which also went towards relief efforts on the floods in Malaysia).[185][186]
Japan: Provided emergency assistance packs consisting of generators, sleeping mattresses and pads, and dome tents via the Japan International Cooperation Agency.[187]
United Nations: Provided core relief products including solar lamps, hygiene kits and mosquito nets to the severely impacted islands via the United Nations High Commissioner for Refugees.[188]
Apple CEO Tim Cook has pledged to commit itself to rebuilding communities in both Malaysia and the Philippines while also providing short term relief and recovery efforts.[189]
Retirement
Due to the extensive damage and high death toll in Visayas and Mindanao, the PAGASA announced that Odette will be stricken from the rotating list of typhoon names, and will never again be used for another typhoon name within the Philippine Area of Responsibility (PAR). On March 21, 2022, the PAGASA chose the name Opong as its replacement for the 2025 season.[190][191]
In early 2023, the Typhoon Committee announced that the name Rai, along with two others will be removed from the naming lists.[192] In the spring of 2024, the name was replaced with Sarbul which refers to "monsoon" in the Yapese language.[193]
Notes
- ^ The Joint Typhoon Warning Center is a joint United States Navy – United States Air Force task force that issues tropical cyclone warnings for the western Pacific Ocean and other regions.[2]
- ^ A super typhoon is an unofficial category used by the Joint Typhoon Warning Center (JTWC)[nb 1] for a typhoon with winds of at least 240 km/h (150 mph).[3]
- ^ Wind estimates from the JMA and most other basins throughout the world are sustained over 10 minutes, while estimates from the United States-based Joint Typhoon Warning Center are sustained over 1 minute. 10 minute winds are about 1.14 times the amount of 1 minute winds.[10]
- ^ Filipino: "Yung first responders mismo, biktima kaming lahat. So this is Typhoon Haiyan [Yolanda] again."
See also
- Weather of 2021
- Tropical cyclones in 2021
- List of super typhoons
- Typhoon Louise (Ining, 1964) – took a similar path and also attained Category 5 intensity at a low latitude like Rai
- Typhoon Nelson (Bising, 1982) – another destructive typhoon that took a similar path
- Typhoon Ike (Nitang, 1984) – deadliest typhoon to hit the Caraga region
- Typhoon Mike (Ruping, 1990) – another Category 5-equivalent typhoon that took an identical track in November 1990
- Typhoon Utor (Seniang, 2006) – Also had a similar path with a second peak in the South China Sea
- Tropical Storm Washi (Sendong, 2011) – a very deadly tropical storm that took a similar path which cause devastating flash floods in Mindanao.
- Typhoon Bopha (Pablo, 2012) – strongest typhoon to hit Mindanao which took a similar path and attained Category 5 intensity at a low latitude like Rai
- Typhoon Haiyan (Yolanda, 2013) – deadliest typhoon to strike the Philippines in modern history and affected the same areas as Rai
- Typhoon Rammasun (Glenda, 2014) – violent typhoon that also strengthen into Category-5 typhoon in the South China Sea after ravaged over Luzon.
- Tropical Storm Megi (Agaton, 2022) – a weak but deadly tropical storm that impacted the same areas 4 months later
References
- ^ a b "PAGASA redefines 'super typhoon', revises wind signals". ABS-CBN News. March 23, 2022. Retrieved March 28, 2022.
- ^ "Joint Typhoon Warning Center Mission Statement". Joint Typhoon Warning Center. 2011. Archived from the original on July 26, 2007. Retrieved July 25, 2012.
- ^ Frequently Asked Questions (Report). Joint Typhoon Warning Center. August 13, 2012. Archived from the original on October 4, 2013. Retrieved September 22, 2012.
- ^ Significant Tropical Weather Advisory for the Western and South Pacific Oceans 090600Z-100600Z December 2021 (Report). United States Joint Typhoon Warning Center. December 9, 2021. Archived from the original on April 25, 2021. Retrieved December 12, 2021.
- ^ Significant Tropical Weather Advisory for the Western and South Pacific Oceans Reissued 092200Z-100600Z December 2021 (Report). United States Joint Typhoon Warning Center. December 9, 2021. Archived from the original on April 25, 2021. Retrieved December 12, 2021.
- ^ Significant Tropical Weather Advisory for the Western and South Pacific Oceans 100600Z-110600Z December 2021 (Report). United States Joint Typhoon Warning Center. December 10, 2021. Archived from the original on April 25, 2021. Retrieved December 12, 2021.
- ^ Significant Tropical Weather Advisory for the Western and South Pacific Oceans Reissued 110230Z-110600Z December 2021 (Report). United States Joint Typhoon Warning Center. December 11, 2021. Archived from the original on April 25, 2021. Retrieved December 12, 2021.
- ^ Significant Tropical Weather Advisory for the Western and South Pacific Oceans 110600Z-120600Z December 2021 (Report). United States Joint Typhoon Warning Center. December 11, 2021. Archived from the original on April 25, 2021. Retrieved December 12, 2021.
- ^ "Annual Report on Activities of the RSMC Tokyo – Typhoon Center 2000" (PDF). Japan Meteorological Agency. February 2001. p. 3. Archived (PDF) from the original on October 31, 2015. Retrieved March 26, 2014.
- ^ Christopher W Landsea; Hurricane Research Division (April 26, 2004). "Subject: D4) What does "maximum sustained wind" mean? How does it relate to gusts in tropical cyclones?". Frequently Asked Questions. National Oceanic and Atmospheric Administration's Atlantic Oceanographic and Meteorological Laboratory. Archived from the original on May 6, 2009. Retrieved April 10, 2014.
- ^ "WWJP25 RJTD 120000". Tokyo, Japan: Japan Meteorological Agency. December 12, 2021. Archived from the original on December 12, 2021. Retrieved December 12, 2021.
- ^ Significant Tropical Weather Advisory for the Western and South Pacific Oceans Reissued 120330Z-120600Z December 2021 (Report). United States Joint Typhoon Warning Center. December 12, 2021. Archived from the original on April 25, 2021. Retrieved December 12, 2021.
- ^ Tropical Cyclone Formation Alert (Invest 96W) (Report). United States Joint Typhoon Warning Center. December 12, 2021. Archived from the original on July 3, 2021. Retrieved December 12, 2021.
- ^ Prognostic Reasoning for Tropical Depression 28W (Twentyeight) Warning NR 001 (Report). United States Joint Typhoon Warning Center. December 13, 2021. Archived from the original on December 13, 2021. Retrieved December 13, 2021.
- ^ RSMC Tropical Cyclone Prognostic Reasoning No. 7 for TS 2122 Rai (2122) (Report). Japan Meteorological Agency. December 13, 2021. Archived from the original on December 13, 2021. Retrieved December 14, 2021.
- ^ Prognostic Reasoning for Tropical Storm 28W (Rai) Warning NR 003 (Report). United States Joint Typhoon Warning Center. December 13, 2021. Archived from the original on December 13, 2021. Retrieved December 14, 2021.
- ^ "Tropical Storm Rai (28W) Intermediate Advisory Number 3A". forecast.weather.gov. National Weather Service, Tiyan. Archived from the original on December 14, 2021. Retrieved December 13, 2021.
- ^ "Tropical Storm Rai (28W) Intermediate Advisory Number 4". forecast.weather.gov. National Weather Service, Tiyan. Archived from the original on December 14, 2021. Retrieved December 13, 2021.
- ^ RSMC Tropical Cyclone Prognostic Reasoning No. 9 for STS 2122 Rai (2122) (Report). Japan Meteorological Agency. December 14, 2021. Archived from the original on December 14, 2021. Retrieved December 14, 2021.
- ^ Prognostic Reasoning for Tropical Storm 28W (Rai) Warning NR 006 (Report). United States Joint Typhoon Warning Center. December 14, 2021. Archived from the original on December 14, 2021. Retrieved December 15, 2021.
- ^ PAGASA-DOST [@dost_pagasa] (December 14, 2021). "At 7:00 PM today, Severe Tropical Storm RAI entered the Philippine Area of Responsibility and was assigned the domestic name #OdettePH. [...]" (Tweet) – via Twitter.
- ^ "Tropical Cyclone Bulletin #1 for Severe Tropical Storm 'Odette' (Rai)" (PDF). PAGASA. December 14, 2021. Archived from the original (PDF) on December 14, 2021. Retrieved December 14, 2021. Alt URL
- ^ Prognostic Reasoning for Tropical Storm 28W (Rai) Warning NR 007 (Report). United States Joint Typhoon Warning Center. December 14, 2021. Archived from the original on December 14, 2021. Retrieved December 15, 2021.
- ^ RSMC Tropical Cyclone Prognostic Reasoning No. 13 for TY 2122 Rai (2122) (Report). Japan Meteorological Agency. December 14, 2021. Archived from the original on December 15, 2021. Retrieved December 14, 2021.
- ^ Prognostic Reasoning for Typhoon 28W (Rai) Warning NR 009 (Report). United States Joint Typhoon Warning Center. December 15, 2021. Archived from the original on December 15, 2021. Retrieved December 15, 2021.
- ^ Prognostic Reasoning for Typhoon 28W (Rai) Warning NR 010 (Report). United States Joint Typhoon Warning Center. December 15, 2021. Archived from the original on December 15, 2021. Retrieved December 15, 2021.
- ^ Prognostic Reasoning for Typhoon 28W (Rai) Warning NR 011 (Report). United States Joint Typhoon Warning Center. December 15, 2021. Archived from the original on December 15, 2021. Retrieved December 15, 2021.
- ^ Prognostic Reasoning for Typhoon 28W (Rai) Warning NR 013 (Report). United States Joint Typhoon Warning Center. December 16, 2021. Archived from the original on December 15, 2021. Retrieved December 16, 2021.
- ^ Mangosing, Frances (December 16, 2021). "Typhoon Odette makes landfall in Siargao, says Pagasa". INQUIRER.net. Archived from the original on December 16, 2021. Retrieved December 16, 2021.
- ^ ABS-CBN News (December 16, 2021). "Odette makes 2nd landfall over Dinagat Islands". ABS-CBN News. Archived from the original on December 16, 2021. Retrieved December 16, 2021.
- ^ "Typhoon 'Odette' maintains strength; makes 2nd, 3rd landfall". Manila Bulletin. December 16, 2021. Archived from the original on December 16, 2021. Retrieved December 17, 2021.
- ^ "Typhoon Odette over Panay Gulf after 8th landfall in Negros Oriental". Rappler. December 17, 2021. Archived from the original on December 17, 2021. Retrieved December 17, 2021.
- ^ WTPQ50 RJTD 160300 (Report). Japan Meteorological Agency. December 16, 2021. Archived from the original on December 16, 2021. Retrieved December 16, 2021.
- ^ Prognostic Reasoning for Typhoon 28W (Rai) Warning NR 014 (Report). United States Joint Typhoon Warning Center. December 16, 2021. Archived from the original on December 16, 2021. Retrieved December 17, 2021.
- ^ Prognostic Reasoning for Typhoon 28W (Rai) Warning NR 015 (Report). United States Joint Typhoon Warning Center. December 16, 2021. Archived from the original on December 16, 2021. Retrieved December 17, 2021.
- ^ Prognostic Reasoning for Typhoon 28W (Rai) Warning NR 015 (Report). United States Joint Typhoon Warning Center. December 16, 2021. Archived from the original on December 13, 2021. Retrieved December 17, 2021.
- ^ Prognostic Reasoning for Typhoon 28W (Rai) Warning NR 017 (Report). United States Joint Typhoon Warning Center. December 17, 2021. Archived from the original on December 13, 2021. Retrieved December 17, 2021.
- ^ Prognostic Reasoning for Typhoon 28W (Rai) Warning NR 018 (Report). United States Joint Typhoon Warning Center. December 17, 2021. Archived from the original on December 13, 2021. Retrieved December 18, 2021.
- ^ "Typhoon Odette makes 9th landfall over Palawan". ABS-CBN News. December 17, 2021. Archived from the original on December 17, 2021. Retrieved December 18, 2021.
- ^ Prognostic Reasoning for Typhoon 28W (Rai) Warning NR 019 (Report). United States Joint Typhoon Warning Center. December 17, 2021. Archived from the original on December 13, 2021. Retrieved December 18, 2021.
- ^ Prognostic Reasoning for Typhoon 28W (Rai) Warning NR 020 (Report). United States Joint Typhoon Warning Center. December 17, 2021. Archived from the original on December 13, 2021. Retrieved December 18, 2021.
- ^ Prognostic Reasoning for Typhoon 28W (Rai) Warning NR 021 (Report). United States Joint Typhoon Warning Center. December 17, 2021. Archived from the original on December 13, 2021. Retrieved December 18, 2021.
- ^ "After leaving trail of destruction, Typhoon Odette exits PAR". Rappler. December 18, 2021. Archived from the original on December 18, 2021. Retrieved December 19, 2021.
- ^ Prognostic Reasoning for Typhoon 28W (Rai) Warning NR 024 (Report). United States Joint Typhoon Warning Center. December 18, 2021. Archived from the original on December 13, 2021. Retrieved December 19, 2021.
- ^ Prognostic Reasoning for Typhoon 28W (Rai) Warning NR 025 (Report). United States Joint Typhoon Warning Center. December 19, 2021. Archived from the original on December 13, 2021. Retrieved December 19, 2021.
- ^ South China Sea: Tropical Depression Rai tracking northeastward in the South China Sea Dec. 20 /update 14 (Report). Crisis24. December 20, 2021. Retrieved January 27, 2022.
- ^ "Tropical Depression 28W Advisory Number 1". forecast.weather.gov. National Weather Service, Tiyan. Archived from the original on December 13, 2021. Retrieved December 13, 2021.
- ^ "Tropical Storm Rai (28W) Advisory Number 4". forecast.weather.gov. National Weather Service, Tiyan. Archived from the original on August 16, 2021. Retrieved December 15, 2021.
- ^ "Tropical Storm Rai (28W) Advisory Number 6". forecast.weather.gov. National Weather Service, Tiyan. Archived from the original on June 22, 2021. Retrieved December 15, 2021.
- ^ "Tropical Storm Rai (28W) Advisory Number 7". forecast.weather.gov. National Weather Service, Tiyan. Archived from the original on June 28, 2021. Retrieved December 15, 2021.
- ^ "Tropical Cyclone Advisory #1 for Tropical Depression" (PDF). PAGASA. December 12, 2021. Retrieved December 12, 2021. Alt URL
- ^ "Tropical Cyclone Advisory #2 for Tropical Depression" (PDF). PAGASA. December 12, 2021. Retrieved December 12, 2021. Alt URL
- ^ "Tropical Cyclone Advisory #5 for Tropical Storm 'Rai'" (PDF). PAGASA. December 13, 2021. Archived from the original (PDF) on September 28, 2021. Retrieved December 13, 2021. Alt URL
- ^ "Tropical Cyclone Bulletin #1 for Severe Tropical Storm 'Odette' (Rai)" (PDF). PAGASA. December 14, 2021. Archived from the original (PDF) on December 14, 2021. Retrieved December 14, 2021. Alt URL
- ^ "PCG: Hindi na papayagang bumiyahe ang lahat ng klase ng barko kapag may storm signal na" [PCG: All types of ships will no longer be allowed to sail when there is a storm signal]. GMA News (in Tagalog). December 14, 2021. Archived from the original on December 15, 2021. Retrieved December 15, 2021.
- ^ "Iba't ibang lugar, naghahanda na sa Bagyong Odette na nasa PAR na" [Various places are already preparing for Typhoon Odette which is already in PAR]. GMA News (in Tagalog). December 13, 2021. Archived from the original on December 15, 2021. Retrieved December 14, 2021.
- ^ "DSWD prepares relief goods in Central, Eastern Visayas ahead of Odette landfall". GMA News. December 14, 2021. Archived from the original on December 14, 2021. Retrieved December 15, 2021.
- ^ "Cebu Pacific cancels flights due to tropical storm". GMA News. December 14, 2021. Archived from the original on December 15, 2021. Retrieved December 15, 2021.
- ^ "10,000 brgys. sa Mindanao, Visayas, at Southern Luzon, pinaghahandang palikasin ng NDRRMC" [10,000 brgys. in Mindanao, Visayas, and Southern Luzon, the NDRRMC is preparing to mobilize]. GMA News (in Tagalog). December 15, 2021. Archived from the original on December 17, 2021. Retrieved December 15, 2021.
- ^ "Ilang LGU, naghanda na rin para sa posibleng pananalasa ng Bagyong Odette" [Some LGUs have also prepared for the possible onslaught of Typhoon Odette]. GMA News (in Tagalog). December 15, 2021. Archived from the original on December 17, 2021. Retrieved December 16, 2021.
- ^ "Paglilikas sinimulan na, ilang biyahe suspendido dahil sa Bagyong Odette" [Evacuations have already begun, some trips suspended due to Hurricane Odette]. ABS-CBN News (in Tagalog). December 14, 2021. Archived from the original on December 15, 2021. Retrieved December 16, 2021.
- ^ "PAGASA: Severe Tropical Storm Odette enters PAR". GMA News. December 14, 2021. Archived from the original on December 15, 2021. Retrieved December 15, 2021.
- ^ "Signal No. 1 raised over parts of Eastern Samar, Surigao provinces due to Odette". GMA News. December 14, 2021. Archived from the original on December 15, 2021. Retrieved December 15, 2021.
- ^ "Odette slightly intensifies, Signal No. 1 raised over 15 provinces". GMA News. December 15, 2021. Archived from the original on December 14, 2021. Retrieved December 15, 2021.
- ^ "Odette now a typhoon, Signal No. 2 raised". Rappler. December 15, 2021. Archived from the original on December 15, 2021. Retrieved December 16, 2021.
- ^ "Typhoon Odette strengthens further over Philippine Sea". RAPPLER. December 15, 2021. Archived from the original on December 15, 2021. Retrieved December 16, 2021.
- ^ "Parts of Caraga under Signal No. 3 due to Typhoon Odette". Rappler. December 15, 2021. Archived from the original on December 15, 2021. Retrieved December 16, 2021.
- ^ "Signal No. 4 now possible as Typhoon Odette rapidly intensifies further". Rappler. December 16, 2021. Archived from the original on December 16, 2021. Retrieved December 16, 2021.
- ^ "NPA attack disrupts Surigao del Sur typhoon evacuation, leaves 3 dead: Governor". ABS-CBN News. December 15, 2021. Archived from the original on December 16, 2021. Retrieved December 16, 2021.
- ^ "Thousands flee homes across Mindanao as Typhoon Odette unleashes fury". RAPPLER. December 16, 2021. Retrieved November 12, 2022.
- ^ Jorgio, Jessie Yeung,Jinky (December 16, 2021). "Super Typhoon Rai slams into the Philippines as rescue operations get underway". CNN. Retrieved November 12, 2022.
{{cite web}}: CS1 maint: multiple names: authors list (link) - ^ "Bão RAI rất mạnh, Nam bộ có hơn 243.000 nhà không an toàn" [Storm RAI is very strong, the South has more than 243,000 unsafe houses]. Sài Gòn Giải Phóng (in Vietnamese). December 15, 2021. Archived from the original on December 17, 2021. Retrieved December 19, 2021.
- ^ "Bão RAI (bão số 9) bất thường, còn 60 tàu trong vùng nguy hiểm" [Storm RAI (typhoon No. 9) is unusual, 60 ships in danger zone]. Sài Gòn Giải Phóng (in Vietnamese). December 18, 2021. Archived from the original on December 19, 2021. Retrieved December 19, 2021.
- ^ "Hủy hàng loạt chuyến bay đến miền Trung". Sài Gòn Giải Phóng (in Vietnamese). December 18, 2021. Archived from the original on December 19, 2021. Retrieved December 19, 2021.
- ^ "Làng chài gánh thuyền thúng "chạy bão"". Sài Gòn Giải Phóng (in Vietnamese). December 18, 2021. Archived from the original on December 18, 2021. Retrieved December 19, 2021.
{{cite news}}: CS1 maint: bot: original URL status unknown (link) - ^ "Bão số 9 áp sát Nam và Trung Trung bộ: Sẵn sàng sơ tán người dân đến nơi an toàn". Sài Gòn Giải Phóng (in Vietnamese). December 18, 2021. Archived from the original on December 19, 2021. Retrieved December 19, 2021.
- ^ a b "Khẩn trương tìm 2 người bị ngã xuống biển" [Urgently find 2 people who fell into the sea]. Báo Sài Gòn Giải Phóng (in Vietnamese). December 19, 2021. Archived from the original on December 19, 2021. Retrieved December 19, 2021.
- ^ Moura, Nelson (December 20, 2021). "Typhoon Signal 1 hoisted for Rai". macaubusiness.com. Archived from the original on December 20, 2021. Retrieved December 20, 2021.
- ^ "Observatory to consider typhoon signal tomorrow - RTHK".
- ^ "Signal No 1 issued as storm moves closer to Hong Kong - RTHK".
- ^ "Press Weather No. 156 - Tropical Cyclone Warning Bulletin (Signal No. 1)".
- ^ "Hong Kong Observatory to weigh first December typhoon warning since 1974". December 19, 2021.
- ^ "HK keeps eye on storm as Rai hammers Philippines".
- ^ Yeo, Rachel; Pak-hei, Leung (December 20, 2021). "Hong Kong Observatory weighs No 3 typhoon signal as Tropical Storm Rai nears". South China Morning Post. Archived from the original on December 20, 2021. Retrieved December 20, 2021.
- ^ "South China Sea: Typhoon Rai tracking northward in the South China Sea; close approach to Hainan Province, China Dec. 20 /update 13". garda.com. December 20, 2021. Archived from the original on December 22, 2021. Retrieved December 20, 2021.
- ^ del Rosario, Eduardo D. (April 2014). FINAL REPORT Effects of Typhoon YOLANDA (HAIYAN) (PDF) (Report). NDRRMC. Retrieved March 14, 2015.
- ^ a b Final Report for Tropical Cyclone Odette 2021 (PDF) (Report). NDRRMC. May 2022. Retrieved May 16, 2022.
- ^ Uy, Leo Jaymar G.; Pilar, Lourdes O. (February 8, 2018). "Natural disaster damage at P374B in 2006-2015". Business World. Retrieved February 8, 2018 – via PressReader.
- ^ Ramos, Benito T. (September 16, 2014). FINAL REPORT re Effects of Typhoon (PDF) (Report). NDRRMC. Retrieved September 17, 2014.
- ^ Jalad, Ricardo B. (October 5, 2018). Situational Report No.55 re Preparedness Measures for TY OMPONG (I.N. MANGKHUT) (PDF) (Technical report). NDRRMC. Retrieved October 7, 2018.
- ^ Rabonza, Glenn J. (October 20, 2009). FINAL Report on Tropical Storm \"ONDOY\" {KETSANA} and Typhoon \"PEPENG\ (PDF) (Report). NDRRMC. Retrieved October 23, 2010.
- ^ Jalad, Ricardo B. (January 13, 2021). SitRep no. 29 re Preparedness Measures and Effects for TY ULYSSES (PDF). ndrrmc.gov.ph (Report). Retrieved January 15, 2021.
- ^ "Reported death toll due to Crising, Dante, Emong, Habagat now 40 — NDRRMC". GMA News. August 6, 2025. Retrieved August 6, 2025.
- ^ Situational Report No. 37 for Combined Effects of TCs Kristine and Leon (2024) (PDF) (Report). Quezon City, Philippines: National Disaster Risk Reduction and Management Council. December 5, 2024. Retrieved December 5, 2024.
- ^ Jalad, Ricardo B. (November 10, 2020). "SitRep No.11 re Preparedness Measures for Super Typhoon Rolly" (PDF). NDRRMC. Retrieved November 10, 2020.
- ^ a b Yap, Arthur (January 4, 2022). "Updates on Casualties as of January 4, 2022 12 noon. #BarugBohol". Archived from the original on January 4, 2022. Retrieved January 4, 2022 – via Facebook.
- ^ a b Erram, Morexette Marie (December 23, 2021). "#OdettePH: Fatalities in Cebu reaches 96". Cebu Daily News. Archived from the original on December 23, 2021. Retrieved December 23, 2021.
- ^ a b Gomez, Carla (December 22, 2021). "Negros Island typhoon deaths 114; Occidental sets P50M to aid victims". ABS-CBN News. Archived from the original on December 22, 2021. Retrieved December 23, 2021.
- ^ a b Carla P. Gomez [@carlapgomezINQ] (December 24, 2021). "Typhoon Odette death toll in Negros Occidental rises to 45. @inquirerdotnet @inquirervisayas" (Tweet). Archived from the original on January 1, 2022. Retrieved January 1, 2022 – via Twitter.
- ^ a b c Recuerdo, Elmer (December 29, 2021). "'Odette' Leyte death toll at 29". Daily Tribune. Archived from the original on December 29, 2021. Retrieved December 29, 2021.
- ^ a b "Palawan after 'Odette': 22 dead and counting". Inquirer. December 22, 2021. Archived from the original on December 22, 2021. Retrieved December 22, 2021.
- ^ a b "18 deaths reported in Surigao del Norte due to Odette". ABS-CBN News. December 19, 2021. Archived from the original on December 20, 2021. Retrieved December 20, 2021.
- ^ Gutierrez, Jason (December 16, 2021). "Super Typhoon Rai Hits the Philippines, Forcing Thousands to Flee Flooding". The New York Times. ISSN 0362-4331. Archived from the original on December 16, 2021. Retrieved December 16, 2021.
- ^ "Ilang evacuation center, punuan na; basic health protocols, sisiguraduhing masusunod pa rin" [Some evacuation centers, already full; basic health protocols, will ensure that they are still followed]. GMA News (in Tagalog). December 17, 2021. Archived from the original on December 17, 2021. Retrieved December 17, 2021.
- ^ "Malakas na ulan at hangin na dala ng Bagyong Odette, naramdaman sa malaking bahagi ng Western Visayas" [Heavy rain and winds brought by Typhoon Odette, were felt in large parts of Western Visayas]. GMA News (in Tagalog). Archived from the original on December 17, 2021. Retrieved December 17, 2021.
- ^ "Mga awtoridad, doble-kayod sa pagpapaalala at pag-aalalay sa mga residente na lumikas bago humagupit ang bagyo" [Authorities, double-check on reminding and assisting residents to evacuate before the storm hits]. GMA News (in Tagalog). December 16, 2021. Archived from the original on December 17, 2021. Retrieved December 17, 2021.
- ^ "Ilang bahay at ibang istraktura napinsala ng malakas na ulan at hanging dala ng bagyong Odette" [Several houses and other structures were damaged by heavy rain and winds brought on by typhoon Odette]. GMA News (in Tagalog). December 16, 2021. Archived from the original on December 17, 2021. Retrieved December 17, 2021.
- ^ "Typhoon Rai weakens after pummelling central Philippines". Reuters. December 17, 2021. Archived from the original on December 17, 2021. Retrieved December 17, 2021.
- ^ "Mga senior citizen at bata, kabilang sa mga ni-rescue ng PHL Coast Guard" [Senior citizens and children, among those rescued by the PHL Coast Guard]. GMA News (in Tagalog). December 16, 2021. Archived from the original on December 17, 2021. Retrieved December 17, 2021.
- ^ "Baha bunsod ng malakas na ulan, halos lumampas na sa bubong ng mga bahay" [Floods caused by heavy rains, almost exceeded the roofs of houses]. GMA News (in Tagalog). December 16, 2021. Archived from the original on December 17, 2021. Retrieved December 17, 2021.
- ^ "1 woman in Iloilo City dead because of Odette, says mayor Treñas". ABS-CBN News. December 17, 2021. Archived from the original on December 17, 2021. Retrieved December 17, 2021.
- ^ "Bohol gov on Typhoon Odette: This is Yolanda again". GMA News. December 17, 2021. Archived from the original on December 17, 2021. Retrieved December 17, 2021.
- ^ "Malakas na ulan dala ng bagyong 'Odette', humupa na sa Surigao City" [Heavy rain caused by typhoon 'Odette' has subsided in Surigao City]. ABS-CBN News (in Tagalog). December 17, 2021. Archived from the original on December 17, 2021. Retrieved December 17, 2021.
- ^ "Surigao City nagtamo ng matinding pinsala mula sa bagyong Odette" [Surigao City suffered severe damage from typhoon Odette]. ABS-CBN News (in Tagalog). December 17, 2021. Archived from the original on December 17, 2021. Retrieved December 17, 2021.
- ^ "100 percent ang pinsala: Surigao City mayor asks for aid after Odette" [100 percent damage: Surigao City mayor asks for aid after Odette]. ABS-CBN News. December 17, 2021. Archived from the original on December 17, 2021. Retrieved December 17, 2021.
- ^ "Typhoon 'Odette' among 'worst ever' for Bohol; national gov't help needed: PDRRMO". The Bohol Chronicle. December 17, 2021. Archived from the original on December 17, 2021. Retrieved December 17, 2021.
{{cite news}}: CS1 maint: bot: original URL status unknown (link) - ^ "Damage in Odette-hit Bohol to reach ₱5 billion". CNN Philippines. December 17, 2021. Archived from the original on December 17, 2021. Retrieved February 15, 2022.
- ^ "Siargao airport terminal destroyed in Odette's wake, says lawmaker". ABS-CBN News. December 17, 2021. Archived from the original on December 17, 2021. Retrieved December 17, 2021.
- ^ "At least 3 dead as strong typhoon pummels Philippines". Associated Press. December 17, 2021. Archived from the original on December 17, 2021. Retrieved December 17, 2021 – via Yahoo News Philippines.
- ^ "Typhoon Odette leaves 4 dead in Negros Occidental; Kabankalan City under water". Rappler. December 17, 2021. Archived from the original on December 17, 2021. Retrieved December 17, 2021.
- ^ "PNP: 2 dead, 2 missing and almost 200,000 evacuees due to 'Odette'". Manila Bulletin. December 17, 2021. Archived from the original on December 17, 2021. Retrieved December 17, 2021.
- ^ Fernandez, Daniza (December 20, 2021). "'Odette' killed 14 people, destroyed 14,000 houses in Dinagat Islands – official". Inquirer. Archived from the original on December 20, 2021. Retrieved December 20, 2021.
- ^ "Typhoon Odette leaves 12 dead, 7 missing —NDRRMC initial report". GMA News. December 17, 2021. Archived from the original on December 18, 2021. Retrieved December 18, 2021.
- ^ a b "Almost 99% of population in Siargao, including tourists, affected by Odette —Matugas". GMA News. December 17, 2021. Retrieved December 18, 2021.
- ^ "Dinagat Islands 'leveled to the ground' by Odette —Gov. Bag-ao". GMA News. December 17, 2021. Archived from the original on December 19, 2021. Retrieved December 18, 2021.
- ^ "Super Typhoon Rai: Dozens feared dead in Philippines". BBC News. December 18, 2021. Archived from the original on December 19, 2021. Retrieved December 18, 2021.
- ^ "'Leveled to the ground': Philippines typhoon leaves 19 dead". NBC News. December 18, 2021. Archived from the original on December 18, 2021. Retrieved December 18, 2021.
- ^ a b "DOE: Odette renders eight provinces totally without electricity". GMA News. December 17, 2021. Retrieved December 18, 2021.
- ^ "Duterte visits Negros Occidental to assess Typhoon Odette recovery needs". RAPPLER. December 20, 2021. Archived from the original on December 20, 2021. Retrieved December 23, 2021.
- ^ Roson, John. "'Odette' death toll now at 258; damage up to P5.41B". Daily Tribune. Archived from the original on December 23, 2021. Retrieved December 23, 2021.
- ^ Jessie Yeung and Jinky Jorgio (December 16, 2021). "Super Typhoon Rai slams into the Philippines as rescue operations get underway". CNN. Archived from the original on December 17, 2021. Retrieved December 17, 2021.
- ^ "Death toll in Philippines typhoon rises to 12: disaster agency". www.aljazeera.com. Archived from the original on December 17, 2021. Retrieved December 17, 2021.
- ^ a b c "Super typhoon Rai: Philippine tourist island Siargao among areas hit". news.yahoo.com. Archived from the original on December 19, 2021. Retrieved December 17, 2021.
- ^ "Typhoon Rai: rescue efforts continue after strongest storm to hit Philippines this year". the Guardian. Agence France-Presse. December 18, 2021. Archived from the original on December 19, 2021. Retrieved December 18, 2021.
- ^ "75 reported dead due to Typhoon Odette —officials". GMA News. December 19, 2021. Archived from the original on December 19, 2021. Retrieved December 19, 2021.
- ^ "Death toll in Bohol due to Odette reaches 63 —provincial gov't". GMA News. December 19, 2021. Archived from the original on December 19, 2021. Retrieved December 19, 2021.
- ^ "Family buried in landslide in Agusan del Sur; 5 dead". ABS-CBN News. December 19, 2021. Archived from the original on December 19, 2021. Retrieved December 19, 2021.
- ^ "Typhoon deaths in Philippines top 100, mayors appeal for aid". Associated Press. December 19, 2021. Archived from the original on December 19, 2021. Retrieved December 19, 2021.
- ^ "78 sea vessels involved in maritime accidents in Cebu due to Typhoon Odette –PCG". GMA News. December 19, 2021. Archived from the original on December 19, 2021. Retrieved December 19, 2021.
- ^ "4,000 homes destroyed following storm surge in Southern Leyte town". GMA News. December 19, 2021. Archived from the original on December 19, 2021. Retrieved December 19, 2021.
- ^ "Ilang bahagi ng Palawan matinding sinalanta ng bagyong Odette" [Some parts of Palawan were severely devastated by typhoon Odette]. ABS-CBN News (in Tagalog). December 19, 2021. Archived from the original on December 19, 2021. Retrieved December 19, 2021.
- ^ "Typhoon Rai - Dec 2021". ReliefWeb. Archived from the original on December 21, 2021. Retrieved December 22, 2021.
- ^ "Philippines: Typhoon Rai (Odette) Humanitarian Snapshot (as of 19 December 2021) - Philippines". ReliefWeb. December 19, 2021. Archived from the original on December 19, 2021. Retrieved December 19, 2021.
- ^ "Philippines: Typhoon Rai (Odette) - Damaged Houses by Municipality (as of 21 December 2021) - Philippines". ReliefWeb. December 21, 2021. Archived from the original on December 22, 2021. Retrieved December 22, 2021.
- ^ "LOOK: Odette leaves shattered homes, new Coast Guard HQ in rubble in Pag-asa Island". Archived from the original on December 24, 2021. Retrieved December 31, 2021.
- ^ "Odette hammers Pag-asa Island, destroys PCG station". December 20, 2021. Archived from the original on December 20, 2021. Retrieved December 31, 2021.
- ^ "BÁO CÁO NHANH Công tác phòng, chống thiên tai ngày 19/12/2021" [QUICK REPORT Natural disaster prevention and control on December 19, 2021]. phongchongthientai.mard.gov.vn (in Vietnamese). December 19, 2021. Archived from the original on December 20, 2021. Retrieved December 20, 2021.
- ^ "Bão số 9 đổ bộ gây thiệt hại trên các đảo ở Trường Sa". Voice of Vietnam (in Vietnamese). December 19, 2021. Archived from the original on December 19, 2021. Retrieved December 19, 2021.
- ^ "Trong 1-2 ngày tới, vùng áp thấp kết hợp với gió mùa Tây Nam tiếp tục gây mưa dông, gió giật mạnh trên biển" [In the next 1-2 days, a tropical disturbance combined with the Southwest monsoon will continue to cause thunderstorms and strong gusts of wind at sea.]. Tạp chí Công dân & Khuyến học (in Vietnamese). August 16, 2022. Archived from the original on May 30, 2025. Retrieved May 30, 2025.
- ^ "Các tỉnh miền Trung ứng phó với bão số 9" [Central provinces respond to typhoon No. 9]. Vietnam Television (VTV) (in Vietnamese). December 19, 2021. Archived from the original on December 19, 2021. Retrieved December 19, 2021.
- ^ "BÁO CÁO NHANH Công tác phòng, chống thiên tai ngày 19/12/2021" [QUICK REPORT Natural disaster prevention and control on December 19, 2021]. phongchongthientai.mard.gov.vn (in Vietnamese). December 19, 2021. Archived from the original on December 20, 2021. Retrieved December 20, 2021.
- ^ "Bão số 9 gây thiệt hại ở nhiều địa phương ven biển" [Storm No. 9 causes damage in many coastal localities]. thanhnien.vn (in Vietnamese). December 19, 2021. Archived from the original on December 19, 2021. Retrieved December 20, 2021.
- ^ "Khánh Hòa: Bão số 9 làm thiệt hại khoảng 384 tỷ đồng". danviet.vn (in Vietnamese). February 10, 2022. Archived from the original on September 1, 2023.
- ^ "Nearly 100,000 evacuated after Typhoon Rai hits the Philippines". Sky News. Archived from the original on December 16, 2021. Retrieved December 17, 2021.
- ^ "DSWD says P900M in standby funds, prepositioned goods ready for Odette victims". ABS-CBN News. December 17, 2021. Retrieved December 17, 2021.
- ^ "Super Typhoon Rai: Dozens feared dead in Philippines". BBC News. December 18, 2021. Archived from the original on December 19, 2021. Retrieved December 18, 2021.
- ^ Crisostomo, Sheila. "Vaccine wastage in typhoon-hit areas minimal – DOH". Philstar.com. Archived from the original on December 20, 2021. Retrieved December 21, 2021.
- ^ "Marcos, Robredo mobilize volunteers for typhoon Odette relief". ABS-CBN News. December 17, 2021. Archived from the original on December 17, 2021. Retrieved December 17, 2021.
- ^ "Presidential aspirants launch relief operations after Typhoon Odette onslaught". Rappler. December 17, 2021. Archived from the original on December 17, 2021. Retrieved December 17, 2021.
- ^ Camus, Karl R. Ocampo, Miguel R. (December 18, 2021). "Power, telco services down in 22 provinces". INQUIRER.net. Archived from the original on December 20, 2021. Retrieved December 21, 2021.
{{cite web}}: CS1 maint: multiple names: authors list (link) - ^ "Globe, PLDT report disruption of services in Visayas, Mindanao due to Odette". GMA News. December 17, 2021. Archived from the original on January 1, 2022. Retrieved January 1, 2022.
- ^ "Metro Manila mayors pool funds for 'Odette'-affected LGUs". Philstar.com. Archived from the original on December 21, 2021. Retrieved December 21, 2021.
- ^ "Muntinlupa City government allots P20 M to help LGUs hit by typhoon 'Odette'". Manila Bulletin. December 21, 2021. Archived from the original on December 21, 2021. Retrieved December 21, 2021.
- ^ Palicte, Che (December 19, 2021). "Sara sends disaster responders, relief goods to Bohol". www.pna.gov.ph. Archived from the original on December 21, 2021. Retrieved December 21, 2021.
- ^ "Cebu Governor declares state of calamity". GMA News. December 17, 2021. Archived from the original on December 18, 2021. Retrieved December 18, 2021.
- ^ "Bohol placed under state of calamity due to Typhoon Odette". www.cnnphilippines.com. CNN Philippines. December 18, 2021. Archived from the original on December 19, 2021. Retrieved December 18, 2021.
- ^ "Duterte to visit provinces battered by Odette". GMA News. December 17, 2021. Archived from the original on December 19, 2021. Retrieved December 18, 2021.
- ^ "Gov't to allocate P2-B aid for Odette-hit areas, says Nograles". GMA News. December 19, 2021. Archived from the original on December 19, 2021. Retrieved December 19, 2021.
- ^ "Duterte inspects areas hit by Typhoon Odette". GMA News. December 18, 2021. Archived from the original on December 19, 2021. Retrieved December 19, 2021.
- ^ Rhea Mogul (December 21, 2021). "Philippines' typhoon death toll rises further as areas remain cut off". CNN. Archived from the original on December 21, 2021. Retrieved December 21, 2021.
- ^ "Super typhoon leaves island without power or water". BBC News. Archived from the original on December 21, 2021. Retrieved December 21, 2021.
- ^ "Deaths from dehydration in Philippines amid water, food shortages". www.aljazeera.com. Archived from the original on December 21, 2021. Retrieved December 21, 2021.
- ^ "Philippine bishops call for prayers, aid as Super Typhoon Rai death toll passes 370". National Catholic Reporter. December 21, 2021. Archived from the original on December 22, 2021. Retrieved December 22, 2021.
- ^ McDade, Aaron (December 21, 2021). "Looting possible by hungry survivors of Typhoon Rai, Philippine gov says, pleading for aid". Newsweek. Archived from the original on December 21, 2021. Retrieved December 22, 2021.
{{cite web}}: CS1 maint: bot: original URL status unknown (link) - ^ Madarang, Catalina Ricci S. (December 20, 2021). "ABS-CBN's regional stations missed after Odette's wrath in Visayas, Mindanao By". The Philippine Star. Archived from the original on December 24, 2021. Retrieved December 24, 2021.
- ^ Bernardino, Stephanie (December 21, 2021). "Local stars reiterate importance of ABS-CBN following Odette onslaught". The Manila Bulletin. Archived from the original on December 24, 2021. Retrieved December 24, 2021.
- ^ Gutierrez, Jason (May 14, 2020). "Duterte's Shutdown of TV Network Leaves Void Amid Coronavirus Crisis". New York Times. Archived from the original on December 26, 2021. Retrieved December 24, 2021.
- ^ Regencia, Ted (July 10, 2020). "Duterte's Congress allies back order to shut Philippines' ABS-CBN". Archived from the original on December 24, 2021. Retrieved December 24, 2021.
- ^ "'I'm ok': 'Odette' survivors write letters to loved ones". The Philippine Star. Agence France Presse. December 21, 2021. Archived from the original on December 24, 2021. Retrieved December 24, 2021.
- ^ Rocamora, Joyce Ann (December 18, 2021). "Foreign gov'ts ready to aid 'Odette'-hit areas". www.pna.gov.ph. Archived from the original on December 19, 2021. Retrieved December 21, 2021.
- ^ Garcia, Ma. Angelica (December 20, 2021). "US provides relief assistance to areas hit by Odette". GMA News Online. Archived from the original on December 21, 2021. Retrieved December 21, 2021.
- ^ Fernandez, Daniza (December 21, 2021). "China sends P8 million worth of food packs to areas devastated by 'Odette'". Inquirer. Archived from the original on December 21, 2021. Retrieved December 21, 2021.
- ^ European Commission (December 21, 2021). "The Philippines: European Union provides €1.7 million to support those affected by typhoon Rai". ec.europa.eu. Archived from the original on December 22, 2021. Retrieved December 21, 2021.
- ^ "Korean Government to Provide 2 Million USD to Philippines Hit by Super Typhoon "Rai" - Philippines". ReliefWeb. December 22, 2021. Archived from the original on December 23, 2021. Retrieved December 23, 2021.
- ^ "Singapore Red Cross donates US$100,000 for flood, typhoon relief efforts in Malaysia, Philippines". Channel NewsAsia (CNA). Archived from the original on December 21, 2021. Retrieved December 21, 2021.
- ^ Ganesan, Natasha. "Singapore contributes US$60,000 for flood and typhoon relief efforts in Malaysia, Philippines". CNA. Archived from the original on December 22, 2021. Retrieved December 23, 2021.
- ^ Mercado, Neil Arwin (December 25, 2021). "Japan gives aid to Typhoon Odette survivors in PH". INQUIRER.net. Archived from the original on December 31, 2021. Retrieved December 31, 2021.
- ^ "Super Typhoon Rai (Odette)". UNHCR Philippines. Retrieved November 14, 2022.
- ^ Tim Cook [@tim_cook] (December 21, 2021). "Typhoon Rai has caused so much devastation in the Philippines and Malaysia — so many families have lost so much. Apple will be contributing to relief, recovery, and longer-term rebuilding efforts. #OdettePH" (Tweet). Archived from the original on January 1, 2022 – via Twitter.
- ^ De Vera-Ruiz, Ellalyn. "PAGASA replaces names of 3 destructive cyclones in 2021". Manila Bulletin. Archived from the original on March 22, 2022.
- ^ "Philippine Tropical Cyclone Names". PAGASA. Archived from the original on March 21, 2022. Retrieved March 21, 2022.
- ^ "REPORT OF THE FIFTY-FIFTH SESSION OF TYPHOON COMMITTEE" (PDF). Typhoon Committee. April 30, 2023. Retrieved April 30, 2023.
- ^ Replacement names of CONSON, KOMPASU, RAI, MALAKAS, MEGI, MA-ON, HINNAMNOR, NORU and NALGAE (PDF) (Report). ESCAP/WMO Typhoon Committee. February 16, 2024. Retrieved August 21, 2024.
External links
- JMA General Information of Typhoon Rai (2122) from Digital Typhoon
- JMA Best Track Data (Graphics) of Typhoon Rai (2122)
- JMA Best Track Data (PDF) of Typhoon Rai (2122) (in Japanese)
- JTWC Best Track Data of Super Typhoon 28W (Rai)
- 28W.RAI from the U.S. Naval Research Laboratory
- ReliefWeb's main page for this event.


.jpg)
